国庆长假就要到了
准备出去浪的小伙伴最关心的莫过于
天!气!
今年第24号台风“潭美”
掉头去了日本
这个国庆长假
小伙伴们可以“高枕无忧”了吗?
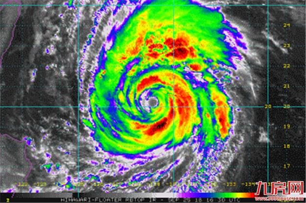
27日台风“潭美”的实时动态图片
NO
老天爷皮的hin
就在这两天
太平洋又出现两个台风胚胎
其中台风胚胎94W
有巨大的发展潜力
有可能发展为25号台风“康妮”
so~~咱们的国庆长假泡汤啦?
这个潜在的“台风”
是否会影响我们的国庆假期呢?
冷空气
干劲十足
最低温
骤降至15℃!
据漳州气象
长假临近
勤奋的冷空气干劲十足
未来一周将有两次冷空气过程
目前
已经开始影响我国的这股冷空气
将继续携风带雨向东推进
今后数天
身处南方的我们天气相对平静
秋高气爽天朗气清的好天气
我们还能享有一段时间
现在太阳下山后气温下降较快
昼夜温差拉大
根据预报
本周日(9月30日)
最低温直降至15℃!!!
赶快提醒你的TA
多备一件薄外套
这个时节气温持续下行
将会是大势所趋
秋季的衣被可以拿出来晒晒太阳备用了
台风胚胎94W
预报路径西调
可能会
影响我国
葵花-8号卫星监测到的台风"潭美"动态云图。
据中国气象频道气象分析师信欣
台风“潭美”之后
估计29日还会生成25号台风“康妮”
目前的胚胎为扰动94W
预计10月2日~10月3日将成为
扰动94W路径选择的关键节点
目前GFS的集合预报有所向西调整
欧洲预报数值
还是看好西行进入南海
据中国气象爱好者
和“山竹”类似,未来的扰动94W
可能是一个又大又强的台风
并有可能被强势副高
一路送到巴士海峡门口
进入南海
欧洲数值对94W的集合分析。中国气象爱好者制作
这也意味着
国庆长假后期
天气形势可能会有变化
考虑到94W接近我国
还有一段时间
未来去哪儿
不确定性还很大
小编会第一时间发布台风动态
目前看来
(10月6日-10月7日)
预计漳州天气晴朗
真的是美滋滋~~
(欢迎转发 转载需授权)
综 合/漳州气象 中国气象爱好者 福州日报
编 辑/罗淑瑛
监 制/程 序





















闽公网安备 35020302035470号
最新评论